Постановление Министерства культуры Ростовской области от 11.09.2017 № 23/01-01/461
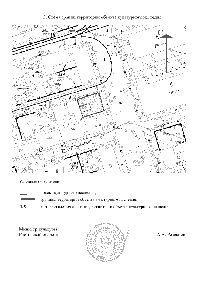
"Об утверждении границ территории объекта культурного наследия регионального значения "Доходный дом М. Асмаева, кон. ХIХ в."
"Об утверждении границ территории объекта культурного наследия регионального значения "Доходный дом М. Асмаева, кон. ХIХ в."
Номер опубликования: 6101201709180010
Дата опубликования:
18.09.2017
