Официальное опубликование правовых актов
ОФИЦИАЛЬНОЕ ОПУБЛИКОВАНИЕ
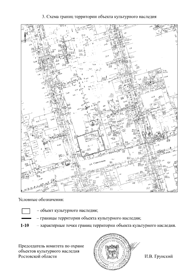
Постановление Комитета по охране объектов культурного наследия Ростовской области от 13.06.2018 № 20/01-01/129
"Об утверждении границ территории объекта культурного наследия регионального значения "Жилой дом М.З. Захарова, нач. XX в."
Номер опубликования: 6101201806200022
Дата опубликования: 20.06.2018
Страница №4 из 4:
Увеличить