Постановление Комитета по охране объектов культурного наследия Ростовской области от 01.11.2018 № 20/01-01/337
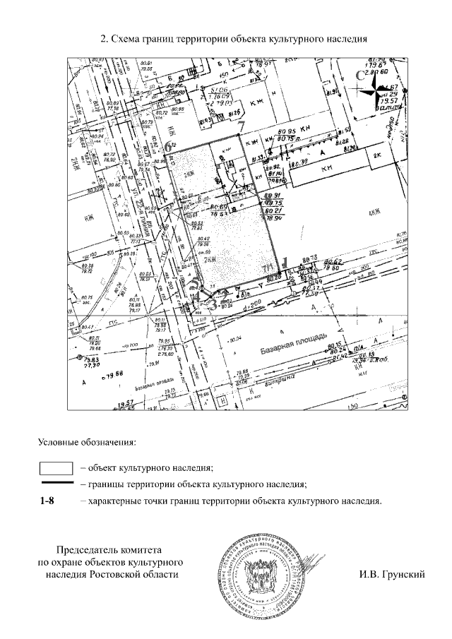
"Об утверждении границ территории объекта культурного наследия регионального значения "Доходный дом Е. Сагирова, кон. ХIХ в."
"Об утверждении границ территории объекта культурного наследия регионального значения "Доходный дом Е. Сагирова, кон. ХIХ в."
Номер опубликования: 6101201811080018
Дата опубликования:
08.11.2018
