Официальное опубликование правовых актов
ОФИЦИАЛЬНОЕ ОПУБЛИКОВАНИЕ
Постановление Главного управления архитектуры и градостроительства Рязанской области от 26.11.2019 № 378-п
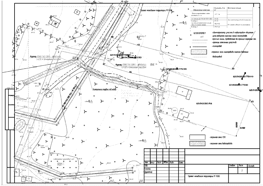
"Об утверждении проекта планировки территории и проекта межевания территории для линейного объекта: "Газификация улицы Рабочая в с. Победное Скопинского района"
Номер опубликования: 6201201911280008
Дата опубликования: 28.11.2019
Страница №15 из 19:
Увеличить