Официальное опубликование правовых актов
ОФИЦИАЛЬНОЕ ОПУБЛИКОВАНИЕ
Постановление Главного управления архитектуры и градостроительства Рязанской области от 12.12.2019 № 435-п
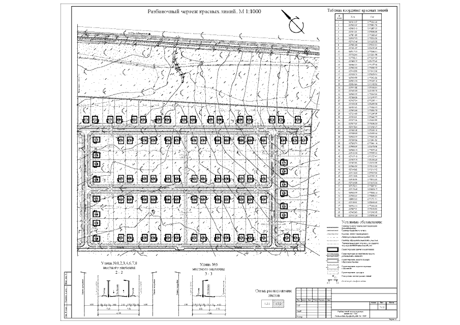
"Об утверждении проекта планировки территории и проекта межевания территории на земельных участках с кадастровыми номерами 62:20:0020106:319 и 62:20:0020106:323, расположенных по адресу: Рязанская область, Спасский район, д. Агламазово"
Номер опубликования: 6201201912130001
Дата опубликования: 13.12.2019
Страница №30 из 86:
Увеличить