Официальное опубликование правовых актов
ОФИЦИАЛЬНОЕ ОПУБЛИКОВАНИЕ
Постановление Главного управления архитектуры и градостроительства Рязанской области от 28.02.2020 № 112-п
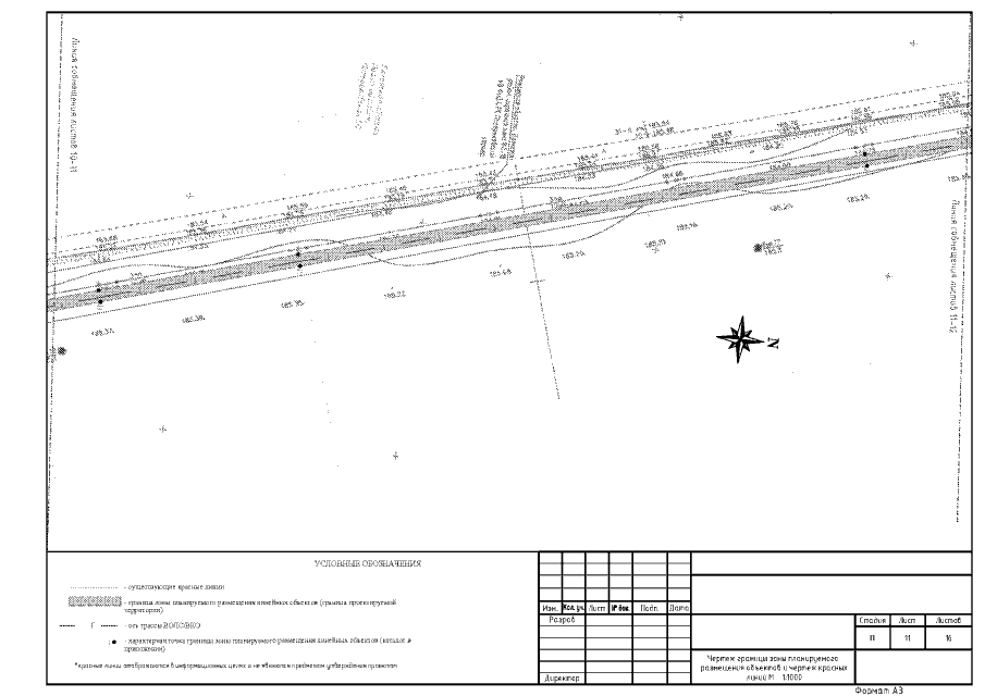
"Об утверждении проекта планировки, проекта межевания территории линейного объекта: "Газификация с. Большое Село Пронского района Рязанской области"
Номер опубликования: 6201202003050003
Дата опубликования: 05.03.2020
Страница №35 из 56:
Увеличить