Официальное опубликование правовых актов
ОФИЦИАЛЬНОЕ ОПУБЛИКОВАНИЕ
Постановление Главного управления архитектуры и градостроительства Рязанской области от 29.04.2020 № 240-п
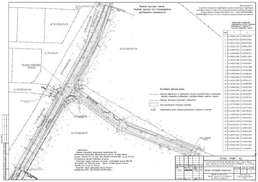
"Об утверждении проекта планировки территории и проекта межевания территории линейного объекта: "Строительство подъездной автомобильной дороги "Рязань-Пронск-Скопин" (80+000-95+747) – ООО "ОКТАФАРМА-ФАРМИМЭКС" на км. 93+240 в Скопинском районе Рязанской области"
Номер опубликования: 6201202005060001
Дата опубликования: 06.05.2020
Страница №20 из 21:
Увеличить