Официальное опубликование правовых актов
ОФИЦИАЛЬНОЕ ОПУБЛИКОВАНИЕ
Постановление Главного управления архитектуры и градостроительства Рязанской области от 29.01.2021 № 17-п
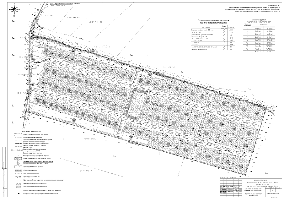
"Об утверждении проекта планировки территории и проекта межевания территории по объекту: "Комплексная компактная малоэтажная застройка для многодетных семей в д. Мантурово Рыбновского района Рязанской области"
Номер опубликования: 6201202102010004
Дата опубликования: 01.02.2021
Страница №45 из 47:
Увеличить