Официальное опубликование правовых актов
ОФИЦИАЛЬНОЕ ОПУБЛИКОВАНИЕ
Постановление Главного управления архитектуры и градостроительства Рязанской области от 19.08.2021 № 368-п
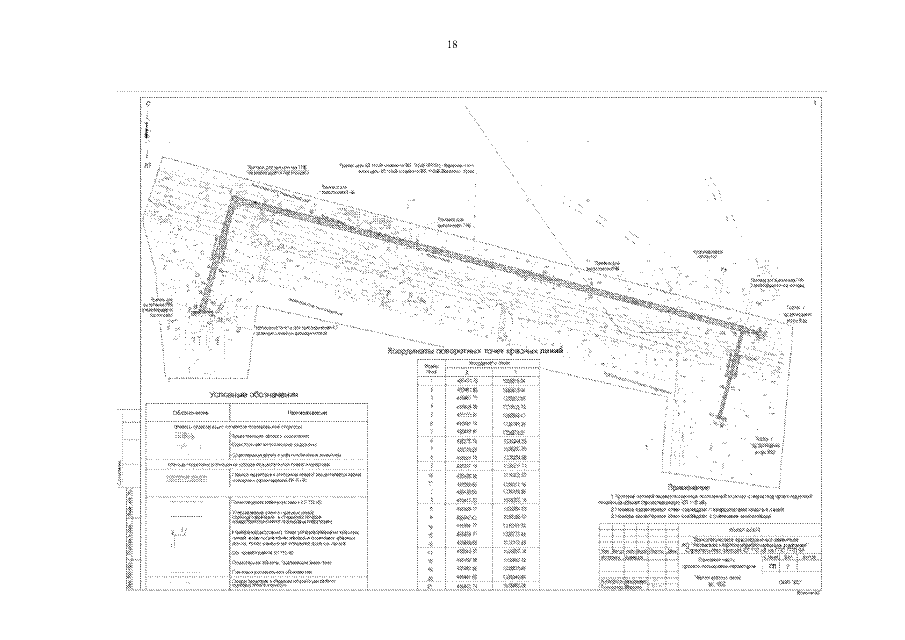
"Об утверждении проекта планировки территории и проекта межевания территории объекта: "Технологическое присоединение к электрическим сетям энергопринимающих устройств потребителя ОА "Рязанская нефтеперерабатывающая компания" строительство ЛЭП-110 кВ Лихачево – Колос, 1,1 км"
Номер опубликования: 6201202108190012
Дата опубликования: 19.08.2021
Страница №20 из 24:
Увеличить