Официальное опубликование правовых актов
ОФИЦИАЛЬНОЕ ОПУБЛИКОВАНИЕ
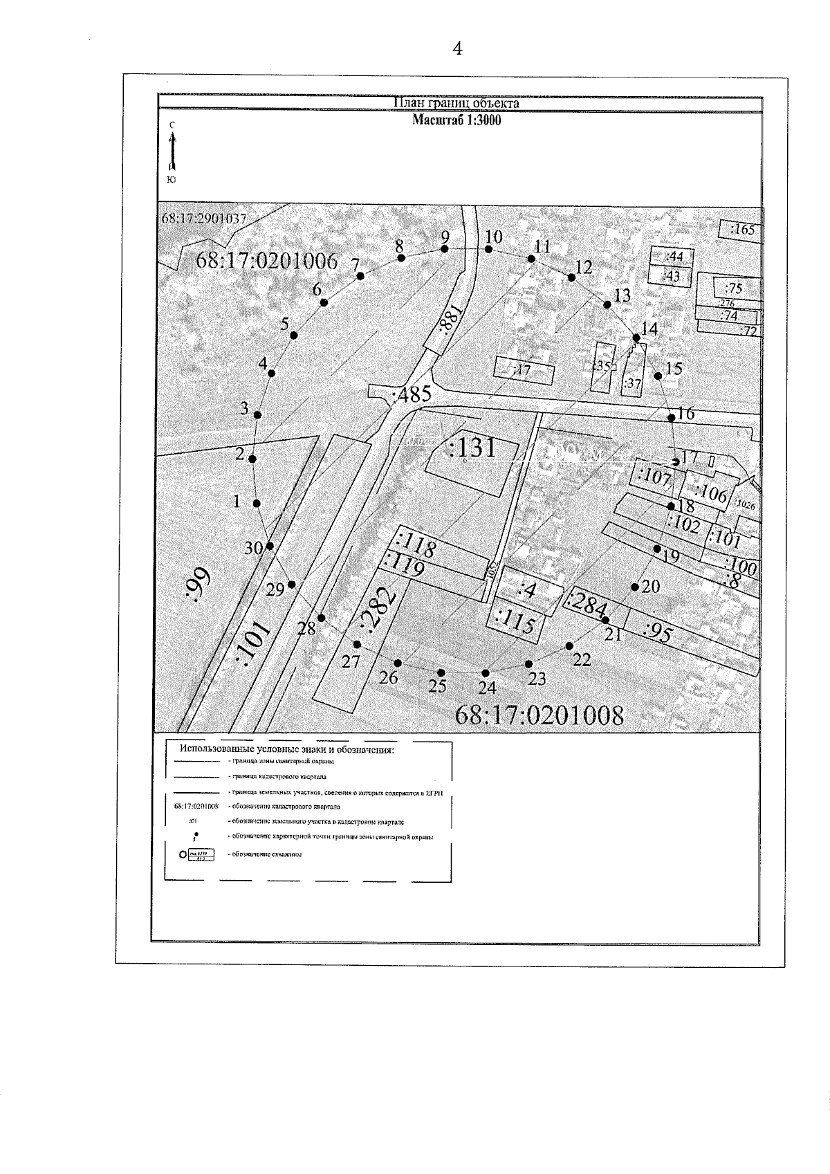
Приказ Министерства экологии и природных ресурсов Тамбовской области от 13.11.2025 № 257
"Об установлении границ и режима зон санитарной охраны действующего водозабора общества с ограниченной ответственностью "Сампурский коммунальщик"
(Зарегистрирован 13.11.2025 № 257)
Номер опубликования: 6801202511140001
Дата опубликования: 14.11.2025
Страница №14 из 17:
Увеличить