Постановление Правительства Тверской области от 02.04.2026 № 182-пп
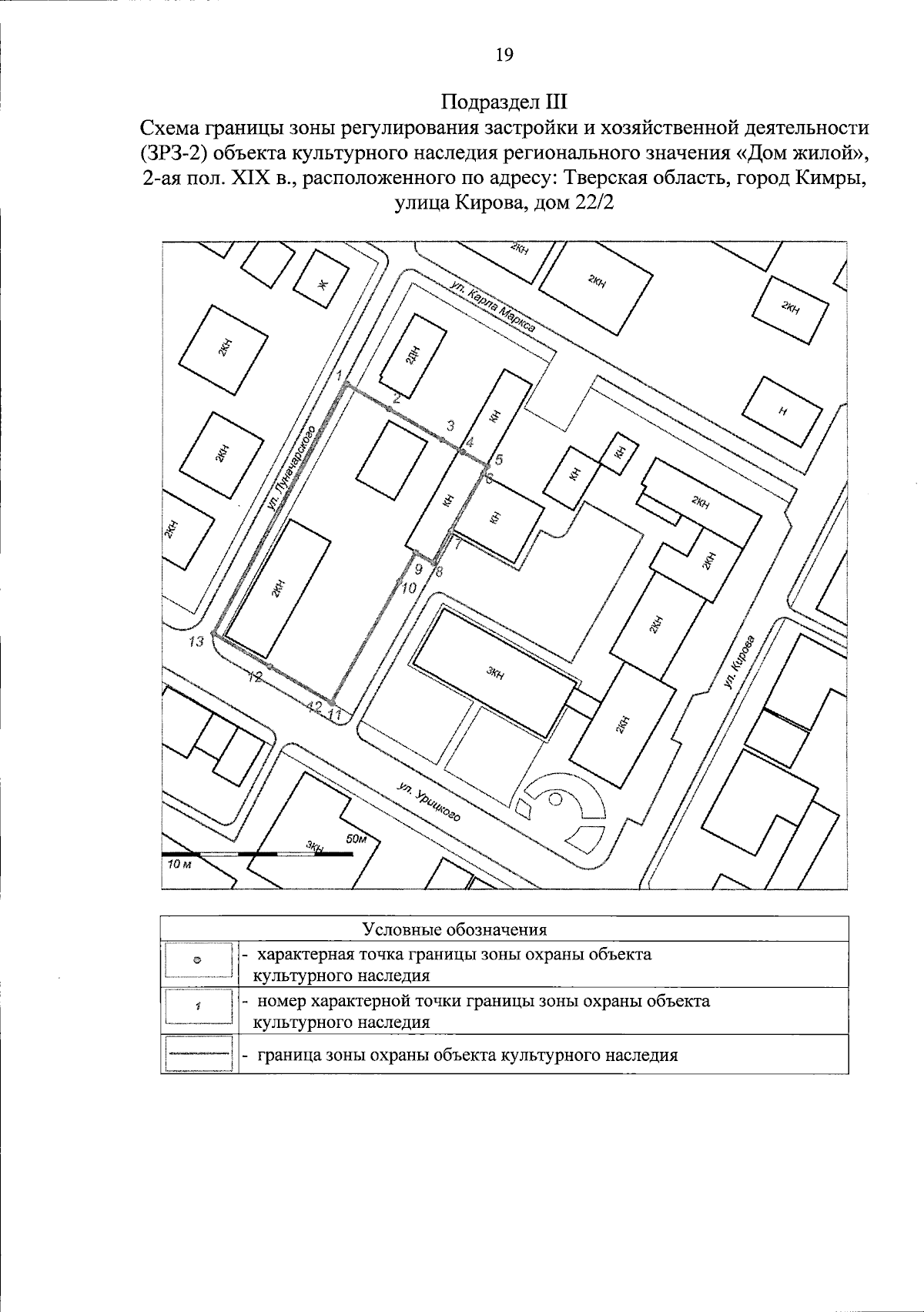
"Об установлении зон охраны объекта культурного наследия регионального значения "Дом жилой", 2-ая пол. XIX в., расположенного по адресу: Тверская область, город Кимры, улица Кирова, дом 22/2, режимов использования земель и требований к градостроительным регламентам в границах территории данных зон"
"Об установлении зон охраны объекта культурного наследия регионального значения "Дом жилой", 2-ая пол. XIX в., расположенного по адресу: Тверская область, город Кимры, улица Кирова, дом 22/2, режимов использования земель и требований к градостроительным регламентам в границах территории данных зон"
Номер опубликования: 6900202604030011
Дата опубликования:
03.04.2026
