Официальное опубликование правовых актов
ОФИЦИАЛЬНОЕ ОПУБЛИКОВАНИЕ
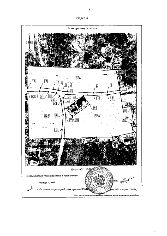
Постановление Правительства Тульской области от 26.12.2022 № 858
"Об установлении зон охраны отдельных объектов культурного наследия регионального значения, расположенных в Веневском районе Тульской области, и утверждении требований к градостроительным регламентам в границах территорий данных зон"
Номер опубликования: 7100202212260009
Дата опубликования: 26.12.2022
Страница №11 из 63:
Увеличить