Официальное опубликование правовых актов
ОФИЦИАЛЬНОЕ ОПУБЛИКОВАНИЕ
Постановление Правительства Санкт-Петербурга от 30.01.2026 № 32
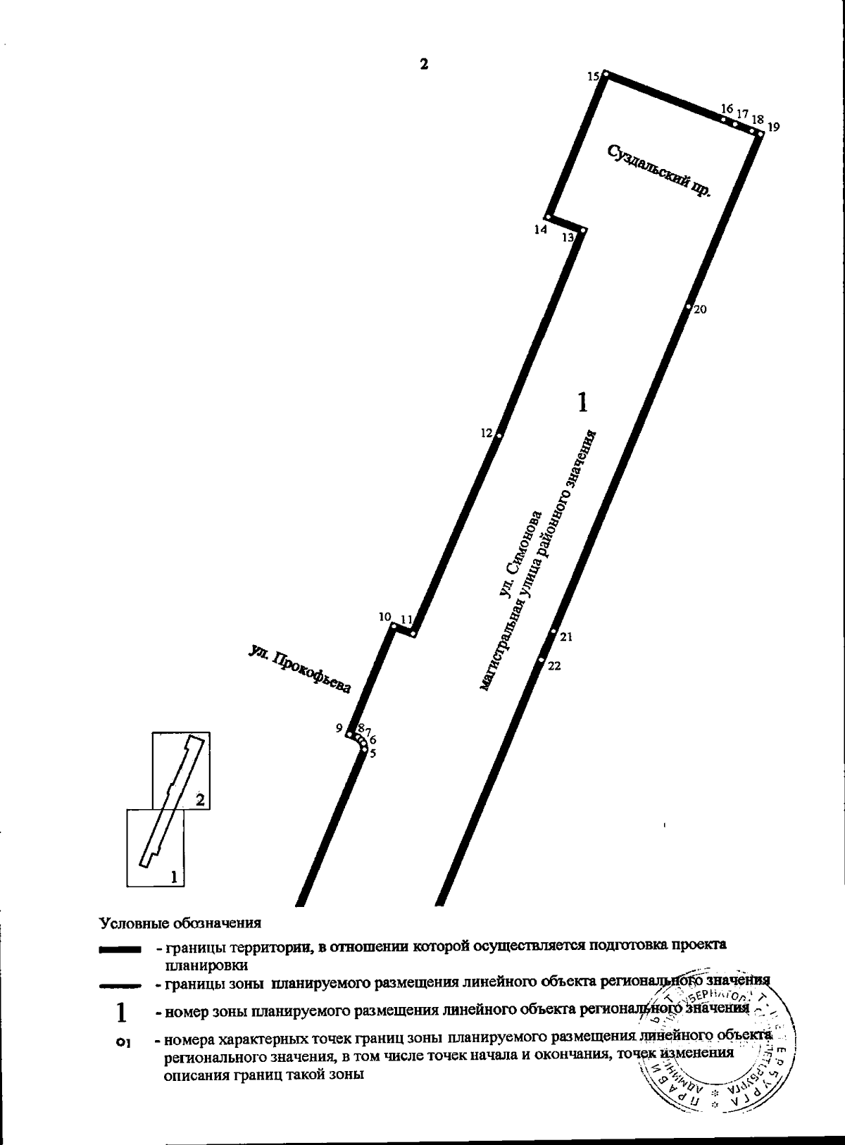
"Об утверждении проекта планировки с проектом межевания территории для размещения линейного объекта регионального значения "ул. Симонова от ул. Шостаковича до Суздальского пр."
Номер опубликования: 7800202602050006
Дата опубликования: 05.02.2026
Страница №7 из 22:
Увеличить