Официальное опубликование правовых актов
ОФИЦИАЛЬНОЕ ОПУБЛИКОВАНИЕ
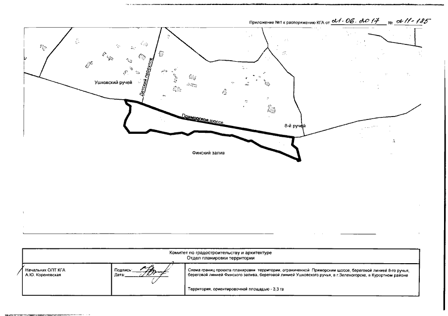
Распоряжение Комитета по градостроительству и архитектуре Санкт-Петербурга от 21.06.2017 № 211-185
"О подготовке документации по планировке территории, ограниченной Приморским шоссе, береговой линией 8-го ручья, береговой линией Финского залива, береговой линией Ушковского ручья, в г.Зеленогорске, в Курортном районе"
Номер опубликования: 7801201706210006
Дата опубликования: 21.06.2017
Страница №2 из 8:
Увеличить