Распоряжение Комитета по градостроительству и архитектуре Санкт-Петербурга от 25.07.2017 № 211-262
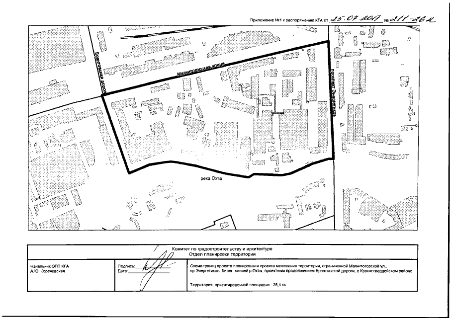
"О подготовке документации по планировке территории, ограниченной Магнитогорской ул., пр.Энергетиков, береговой линией р.Охты, проектным продолжением Брантовской дороги, в Красногвардейском районе"
"О подготовке документации по планировке территории, ограниченной Магнитогорской ул., пр.Энергетиков, береговой линией р.Охты, проектным продолжением Брантовской дороги, в Красногвардейском районе"
Номер опубликования: 7801201707270002
Дата опубликования:
27.07.2017
