Официальное опубликование правовых актов
ОФИЦИАЛЬНОЕ ОПУБЛИКОВАНИЕ
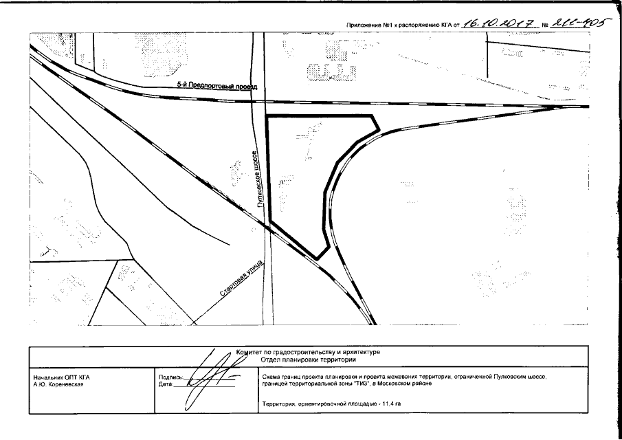
Распоряжение Комитета по градостроительству и архитектуре Санкт-Петербурга от 16.10.2017 № 211-405
"О внесении изменений в распоряжение Комитета по градостроительству и архитектуре от 27.09.2017 №211-387"
Номер опубликования: 7801201710200023
Дата опубликования: 20.10.2017
Страница №2 из 2:
Увеличить