Распоряжение Комитета по государственному контролю, использованию и охране памятников истории и культуры Санкт-Петербурга от 22.07.2024 № 995-рп
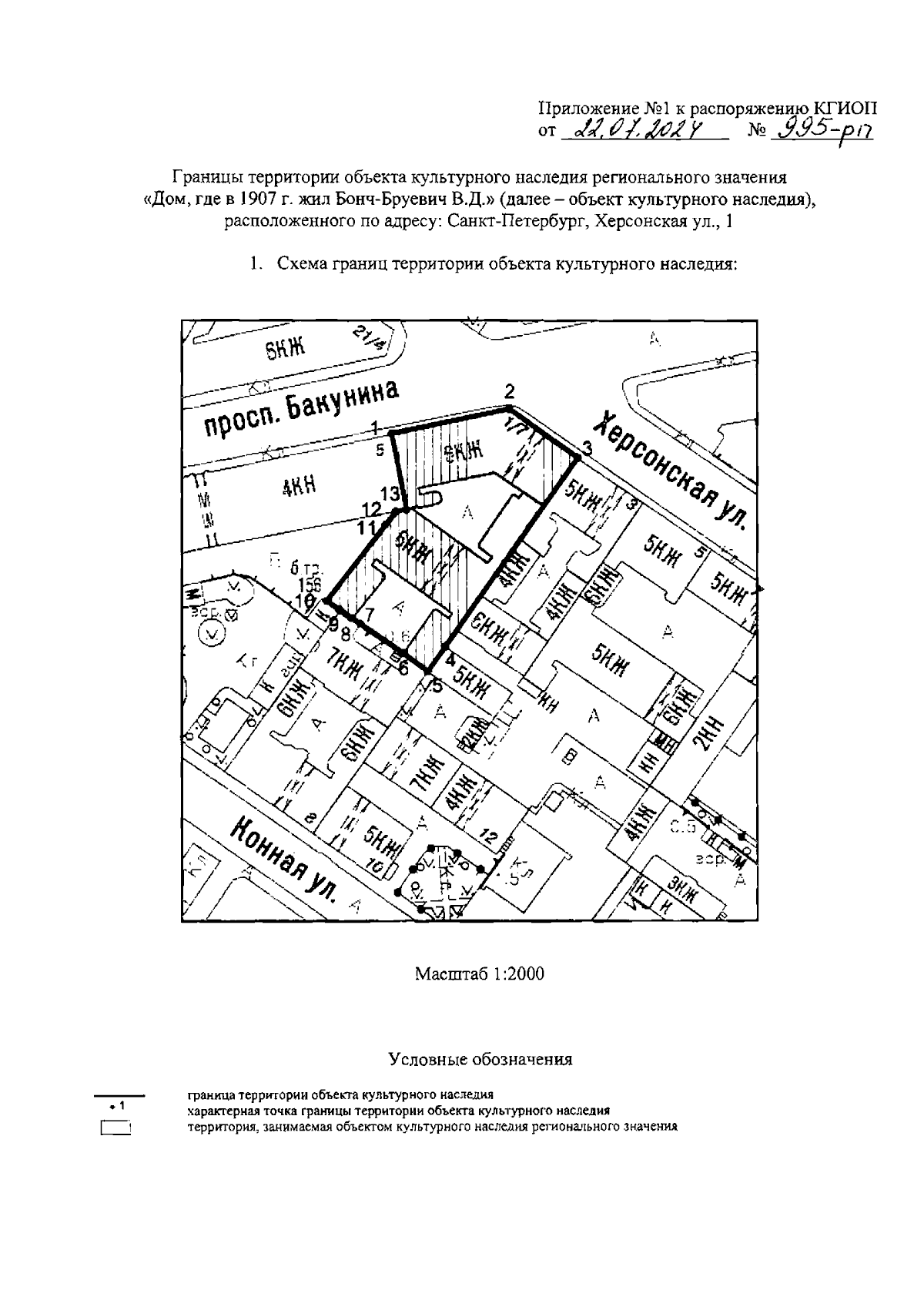
"Об утверждении границ и режима использования территории объекта культурного наследия регионального значения "Дом, где в 1907 г. жил Бонч-Бруевич В.Д."
(Зарегистрирован 24.07.2024 № 48511)
"Об утверждении границ и режима использования территории объекта культурного наследия регионального значения "Дом, где в 1907 г. жил Бонч-Бруевич В.Д."
(Зарегистрирован 24.07.2024 № 48511)
Номер опубликования: 7801202407260005
Дата опубликования:
26.07.2024
