Распоряжение Комитета по государственному контролю, использованию и охране памятников истории и культуры от 09.02.2026 № 18-рп
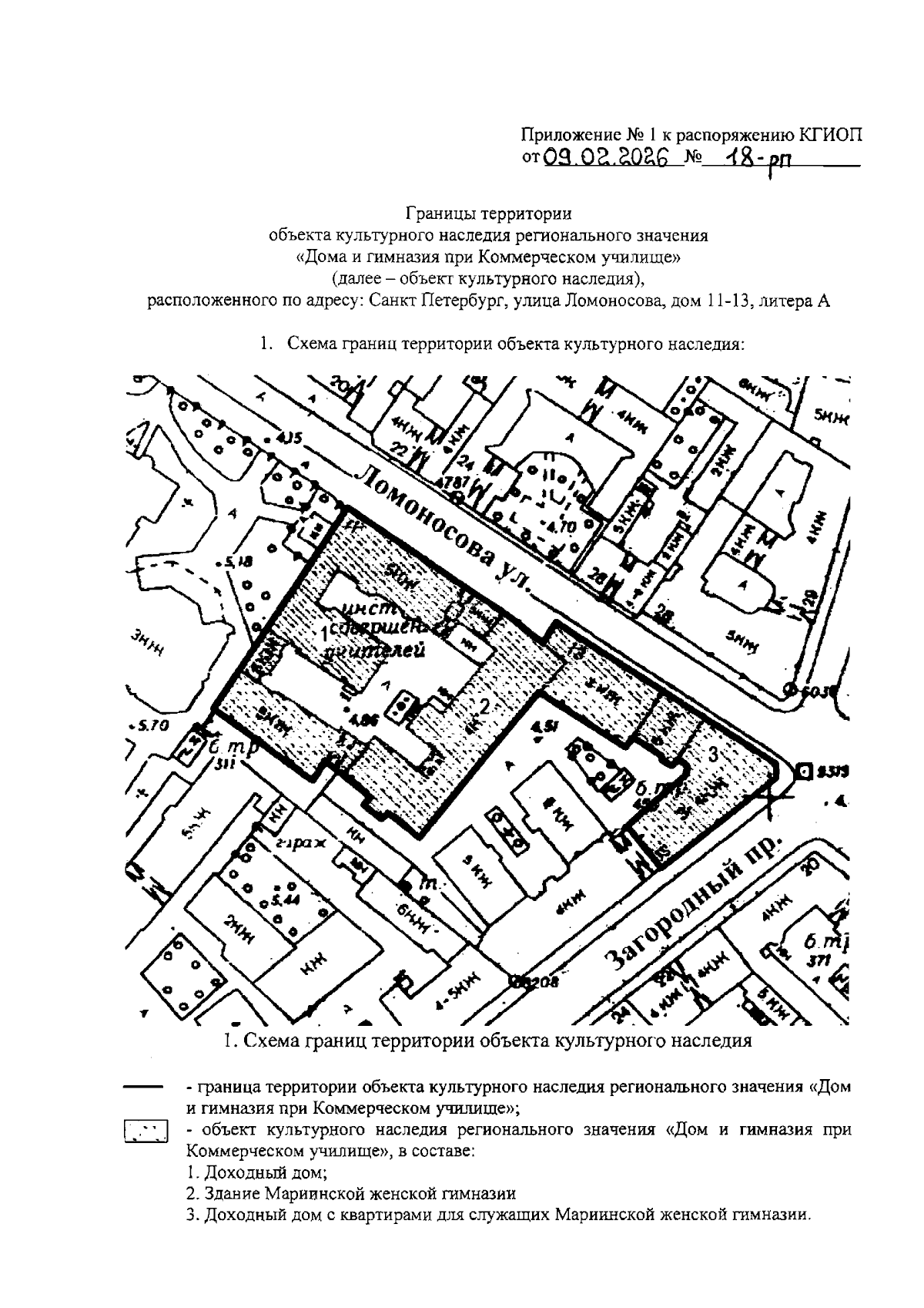
"О включении выявленного объекта культурного наследия в единый государственный реестр объектов культурного наследия (памятников истории и культуры) народов Российской Федерации в качестве объекта культурного наследия регионального значения "Дома и гимназия при Коммерческом училище", об утверждении границ и режима использования территории объекта культурного наследия, об утверждении предмета охраны объекта культурного наследия"
(Зарегистрирован 10.02.2026 № 51835)
"О включении выявленного объекта культурного наследия в единый государственный реестр объектов культурного наследия (памятников истории и культуры) народов Российской Федерации в качестве объекта культурного наследия регионального значения "Дома и гимназия при Коммерческом училище", об утверждении границ и режима использования территории объекта культурного наследия, об утверждении предмета охраны объекта культурного наследия"
(Зарегистрирован 10.02.2026 № 51835)
Номер опубликования: 7801202602130025
Дата опубликования:
13.02.2026
