Официальное опубликование правовых актов
ОФИЦИАЛЬНОЕ ОПУБЛИКОВАНИЕ
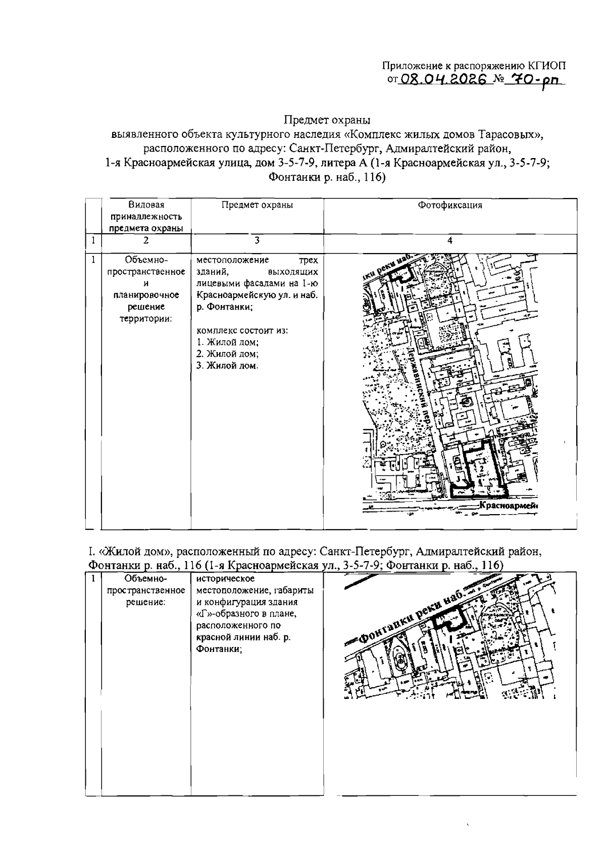
Распоряжение Комитета по государственному контролю, использованию и охране памятников истории и культуры от 08.04.2026 № 70-рп
"Об утверждении предмета охраны выявленного объекта культурного наследия "Комплекс жилых домов Тарасовых"
(Зарегистрирован 09.04.2026 № 53143)
Номер опубликования: 7801202604140004
Дата опубликования: 14.04.2026
Страница №2 из 21:
Увеличить