Официальное опубликование правовых актов
ОФИЦИАЛЬНОЕ ОПУБЛИКОВАНИЕ
Постановление Правительства Ханты-Мансийского автономного округа - Югры от 02.10.2015 № 336-п
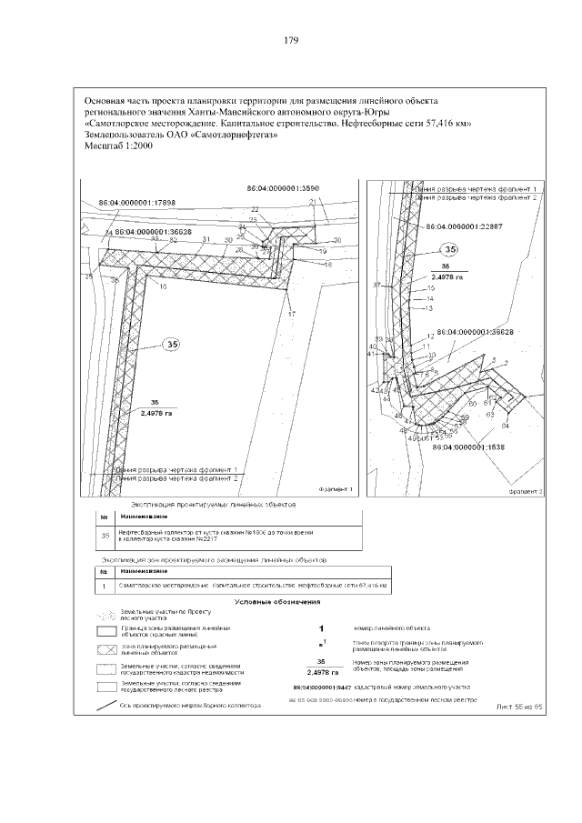
"Об утверждении документации по планировке территории для размещения линейных объектов регионального значения Ханты-Мансийского автономного округа - Югры и внесении изменений в постановление Правительства Ханты-Мансийского автономного округа - Югры от 12 сентября 2014 года № 337-п "Об утверждении документации по планировке территории для размещения линейных объектов регионального значения Ханты-Мансийского автономного округа - Югры"
Номер опубликования: 8600201510070001
Дата опубликования: 07.10.2015
Страница №179 из 298:
Увеличить