Официальное опубликование правовых актов
ОФИЦИАЛЬНОЕ ОПУБЛИКОВАНИЕ
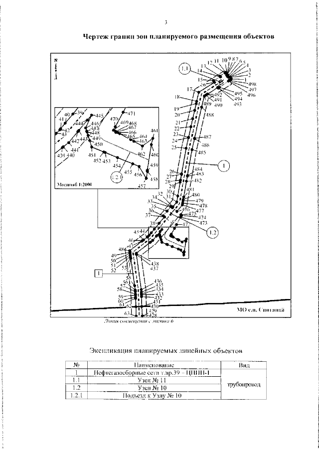
Приказ Департамента строительства Ханты-Мансийского автономного округа – Югры от 09.12.2021 № 37-нп
"Об утверждении документации по планировке территории"
(Зарегистрирован 14.12.2021 № 5834)
Номер опубликования: 8601202112160015
Дата опубликования: 16.12.2021
Страница №3 из 80:
Увеличить