Официальное опубликование правовых актов
ОФИЦИАЛЬНОЕ ОПУБЛИКОВАНИЕ
Приказ Министерства культуры Республики Крым от 28.05.2021 № 149-окн
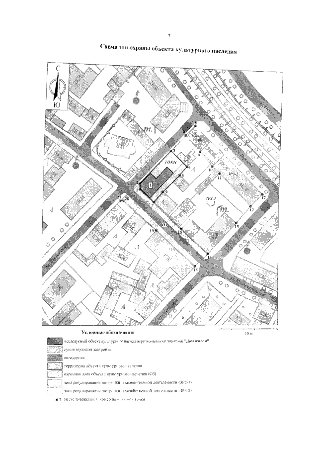
"Об утверждении границ зон охраны, режимов использования земель и требований к градостроительным регламентам в границах зон охраны объекта культурного наследия регионального значения "Дом жилой, XIX в.", расположенного по адресу: Республика Крым, г. Феодосия, ул. Красноармейская, 13"
Номер опубликования: 9101202106020003
Дата опубликования: 02.06.2021
Страница №7 из 10:
Увеличить