Официальное опубликование правовых актов
ОФИЦИАЛЬНОЕ ОПУБЛИКОВАНИЕ
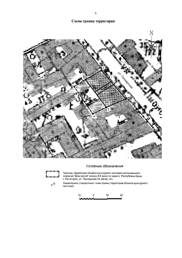
Приказ Министерства культуры Республики Крым от 24.08.2021 № 328-окн
"Об утверждении границ территории, режимов использования земель в границах территории объекта культурного наследия регионального значения "Дом жилой, конец XIX века", расположенного по адресу: Республика Крым, г. Евпатория, ул. Пионерская, 19, литер "А"
Номер опубликования: 9101202108250004
Дата опубликования: 25.08.2021
Страница №5 из 7:
Увеличить