Официальное опубликование правовых актов
ОФИЦИАЛЬНОЕ ОПУБЛИКОВАНИЕ
Приказ Министерства культуры Республики Крым от 05.03.2022 № 67-окн
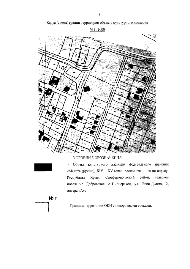
"Об утверждении границ территории и режимов использования земель в границах территории объекта культурного наследия федерального значения "Мечеть (руины), XIV - XV века", расположенного по адресу: Республика Крым, Симферопольский район, сельское поселение Добровское, с. Пионерское, ул. Эски-Джами, д. 2, литера "А"
Номер опубликования: 9101202203140009
Дата опубликования: 14.03.2022
Страница №5 из 6:
Увеличить