Приказ Министерства культуры Республики Крым от 04.08.2022 № 436-окн
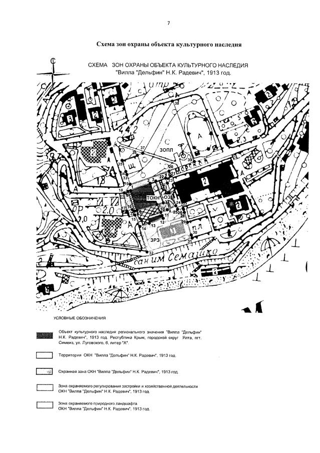
"Об утверждении границ зон охраны, режимов использования земель и требований к градостроительным регламентам в границах зон охраны объекта культурного наследия регионального значения "Вилла "Дельфин" Н.К. Радевич, 1913 год", расположенного по адресу: Республика Крым, городской округ Ялта, пгт Симеиз, ул. Луговского, 6, литер "А"
"Об утверждении границ зон охраны, режимов использования земель и требований к градостроительным регламентам в границах зон охраны объекта культурного наследия регионального значения "Вилла "Дельфин" Н.К. Радевич, 1913 год", расположенного по адресу: Республика Крым, городской округ Ялта, пгт Симеиз, ул. Луговского, 6, литер "А"
Номер опубликования: 9101202208100023
Дата опубликования:
10.08.2022
