Официальное опубликование правовых актов
ОФИЦИАЛЬНОЕ ОПУБЛИКОВАНИЕ
Приказ Министерства культуры Республики Крым от 12.03.2026 № 283-ОКН
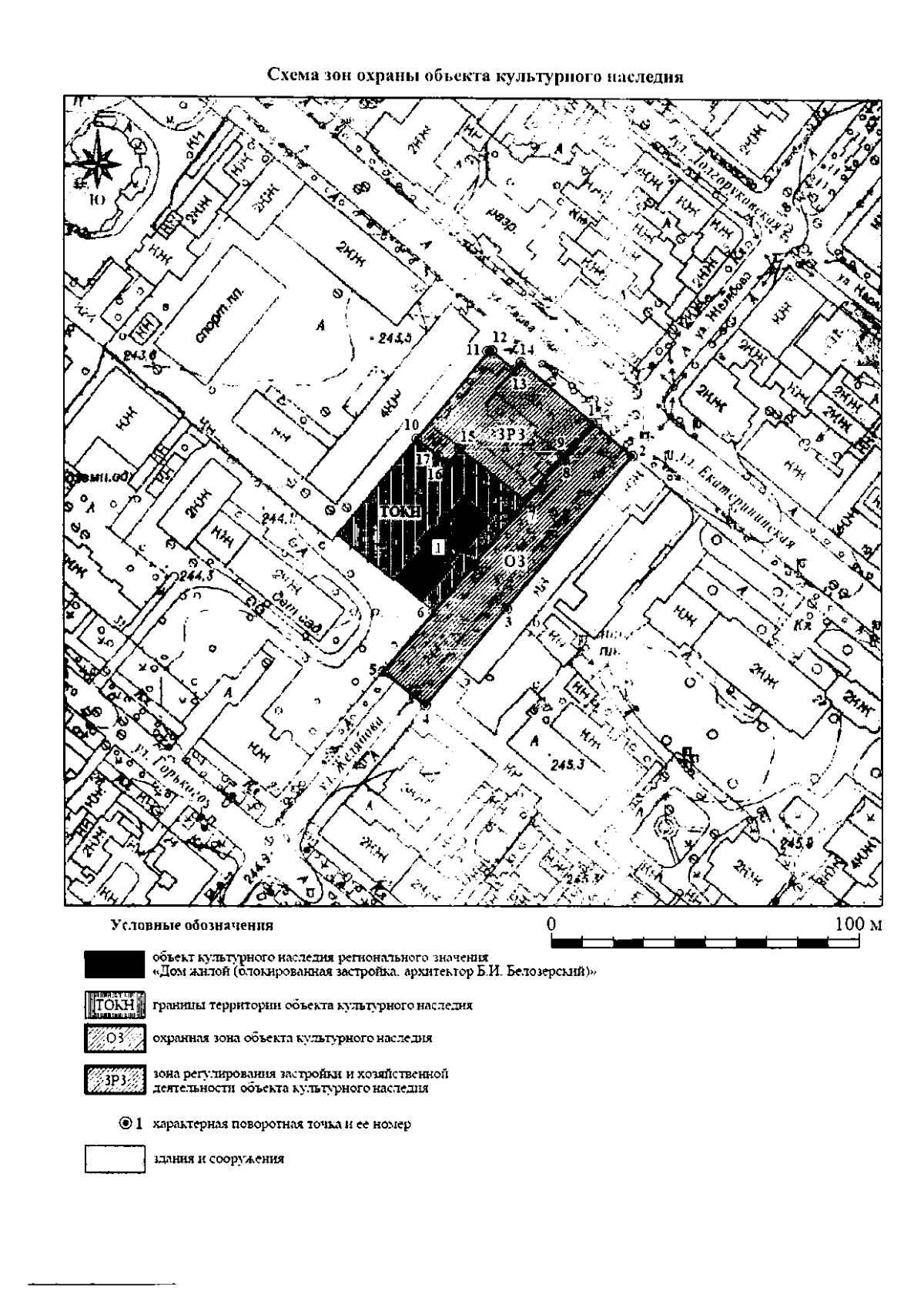
"Об утверждении границ зон охраны, режимов использования земель и требований к градостроительным регламентам в границах зон охраны объекта культурного наследия регионального значения "Дом жилой (блокированная застройка, архитектор Б.И. Белозерский)", 1926–1927 годы, расположенного по адресу: Республика Крым, г. Симферополь, ул. Желябова, 9а, литер "А"
(Зарегистрирован 16.03.2026 № 3383)
Номер опубликования: 9101202603190009
Дата опубликования: 19.03.2026
Страница №5 из 8:
Увеличить