Официальное опубликование правовых актов
ОФИЦИАЛЬНОЕ ОПУБЛИКОВАНИЕ
Постановление Правительства Севастополя от 20.12.2018 № 892-ПП
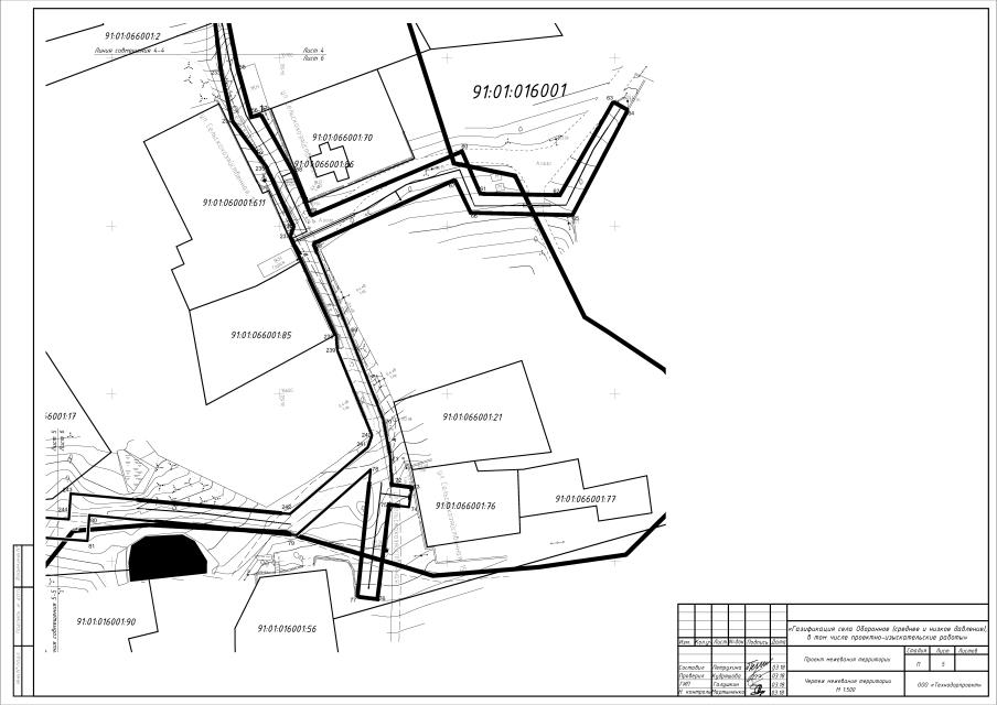
"Об утверждении градостроительной документации по проекту планировки и проекту межевания территории линейного объекта "Газификация села Оборонное (среднее и низкое давление), в том числе проектно-изыскательные работы" в Балаклавском муниципальном округе"
Номер опубликования: 9200201812270002
Дата опубликования: 27.12.2018
Страница №46 из 46: