Официальное опубликование правовых актов
ОФИЦИАЛЬНОЕ ОПУБЛИКОВАНИЕ
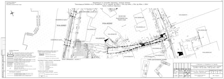
Постановление Правительства Севастополя от 21.01.2019 № 01-ПП "Об утверждении градостроительной документации по проекту планировки и проекту межевания территории линейного объекта "Реконструкция водовода от ул. Лазаревская, 9 до пл. Ушакова, Ду-300 мм, L-750 м, Ду-400 мм, L-750 м, Ду-500 мм, L-1050 м"
Номер опубликования: 9200201901280003
Дата опубликования: 28.01.2019
Страница №80 из 84: