Официальное опубликование правовых актов
ОФИЦИАЛЬНОЕ ОПУБЛИКОВАНИЕ
Постановление Правительства Севастополя от 24.11.2020 № 597-ПП
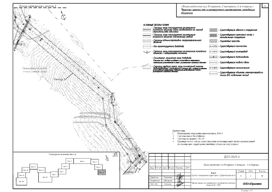
"О внесении изменений в постановление Правительства Севастополя от 26.12.2018 № 956-ПП "Об утверждении градостроительной документации по проекту планировки и проекту межевания территории линейного объекта "Водоснабжение сел Резервное и Гончарное (1-я очередь)" в Орлиновском муниципальном округе"
Номер опубликования: 9200202011300006
Дата опубликования: 30.11.2020
Страница №8 из 295:
Увеличить