Официальное опубликование правовых актов
ОФИЦИАЛЬНОЕ ОПУБЛИКОВАНИЕ
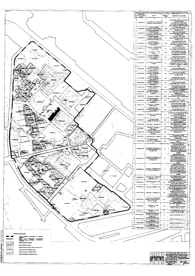
Постановление Правительства Севастополя от 10.11.2022 № 569-ПП
"Об утверждении документации по планировке территории "Проект планировки и проект межевания территории части кадастрового квартала 91:02:001013 в районе пр-та Октябрьской революции, г. Севастополь" в Гагаринском муниципальном округе города Севастополя"
Номер опубликования: 9200202211170007
Дата опубликования: 17.11.2022
Страница №61 из 61:
Увеличить