Официальное опубликование правовых актов
ОФИЦИАЛЬНОЕ ОПУБЛИКОВАНИЕ
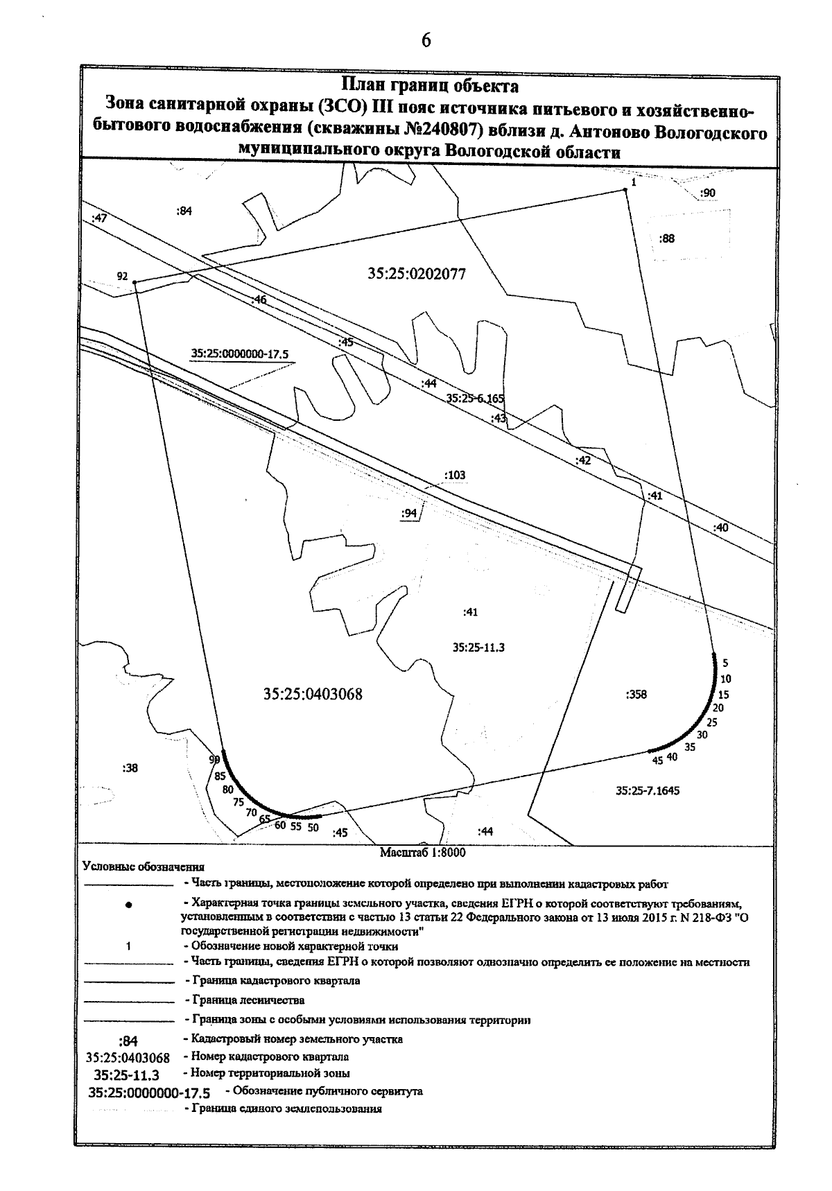
Приказ Министерства лесного комплекса Вологодской области от 23.01.2026 № 70
"Об установлении зон санитарной охраны источников питьевого и хозяйственно-бытового водоснабжения"
(Зарегистрирован 23.01.2026 № 70)
Номер опубликования: 3501202601260002
Дата опубликования: 26.01.2026
Страница №6 из 12:
Увеличить