Официальное опубликование правовых актов
ОФИЦИАЛЬНОЕ ОПУБЛИКОВАНИЕ
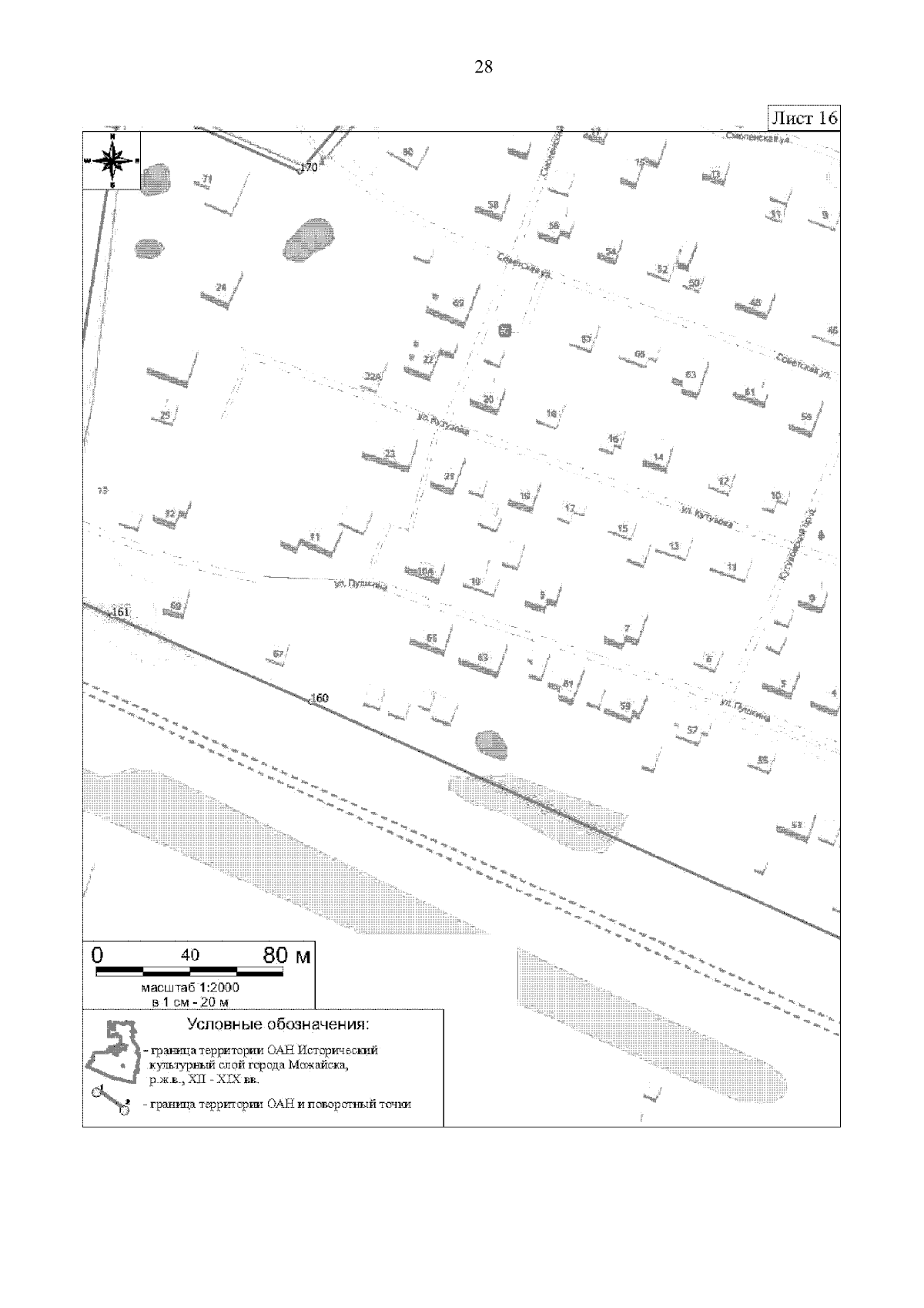
Распоряжение Главного управления культурного наследия Московской области от 13.01.2026 № 06РВ-4
"Об утверждении границы территории и режима использования территории выявленного объекта культурного наследия "Исторический культурный слой города Можайска, р.ж.в.‚ ХII — ХIХ вв.", расположенного по адресу: Московская область, Можайский муниципальный округ"
(Зарегистрирован 13.01.2026 № 26-5/2026)
Номер опубликования: 5001202601190022
Дата опубликования: 19.01.2026
Страница №30 из 58:
Увеличить